  
  
 
潮が動けば当たり連発
あいにくの空模様でしたが地合いになるとダブルヒット、トリプルヒット。 珍客でサメも顔を出しました。 本日も全員安打でめでたしでした。 (6月30日)

西讃地区でタイラバ講習
6月24日に西讃地区でタイラバ講習が開催されました。 当日はシマノインストラクターの佐々木洋三氏を招きタイラバ全般のセミナー。 天候の関係もありプログラムを変更して実釣を先行。 実釣を終えた皆様は佐々木さんのセミナーにまたまた釘付け状態でした。 また、STK講師から釣り船のマナー、ポイントの選択などを聴講されました。 写真右下は今回、お世話になった瀬戸マリーナの方やSTK会員の方です。 これで西讃地区の皆様もタイラバの魅力を知っていただけたと思います。 主催:瀬戸マリーナ/STK 協賛:アオイ釣具店/シマノ
(6月24日)
※STKではマリーナ、釣りクラブ、釣具店などのセミナーを受け付けております。 詳しくはSTK事務局まで。


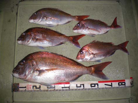
 初心者にもヒット。
本日は山本さんご夫婦が初の鯛ラバにチャレンジ。 根魚も含め釣果を上げられました。 みなさん、マダイやアコウ、ソイなど釣られ全員安打となりました。 竿頭はライズラバーを使った山下さんでした。
(6月17日)

カンパチも釣れました。
この時期になるとカンパチの回遊が見られます。 磯のお客様は竿を折られたとか道糸が全て出て行ったとか。 定置網には毎日何本かは入ってきます。 狙っては難しいのですがベイトが付いてる所で早巻きするとヒット?!
(6月12日)
  
  
コンスタントにヒット。
本日は二枚潮に悩まされながらも全員安打。 二枚潮の釣り方は現地でお教えします。 鯛ラバにかなり潮がかむのでちょっとしたコツでヒットを導き出せます。
(6月10日)


  調理中の安毛さん キス時々タイラバ。
本日はキスをメインに出船しました。 それと船上パーティー? 皆さん、お刺身サイズをゲットしてお昼にはお刺身定食。 安毛料理長(ラスト30分の男)が腕を振るいました。 余裕の安毛さんはラスト30分でマダイをゲット。
(6月9日)



午後便で釣果満足。
本日は午後の良い潮を狙って出船。 連続ヒットが有ったりで全員安打。 最長寸は山地さんの68cmでした。
(6月7日)
 
良い潮にはバイト多数。
本日は変則2名様で出船。 バイトの数は数え切れないほどでした。 何とかヒットに持ち込み見事な釣果でした。 当然、全員安打でめでたし。
(6月4日)

  
 

放送局Vs新聞社親睦鯛トルマッチ
本日は大手新聞社、放送局の親睦大会をシマノプロの佐々木様も参加して開催。 STK加盟船3隻も御手伝いさせていただきました。 思った潮が出ないにもかかわらず皆さん、釣果を出していただきました。 優勝は八尾様でした。おめでとう御座います。
(6月3日)
  
ちょっと渋い一日でした。
天候のせいでしょうか?ちょっと渋い一日でした。 しかし、釣果のほうはちゃんと上げて頂きました。
(6月2日)

 まずは餌やりから。


 小さい魚はリリース。
 


出ました82.5センチ!!
本日はお世話になってる?小豆島のお猿さんに朝食の配達。 お客様に手伝ってもらってトウモロコシとサツマイモ&デザートのブドウを食卓に。 早々にお猿さんが朝食を始めました。 皆さんがバンバン釣果を伸ばしてる最中・・・きた〜〜!! ズッシリと重い引き・・・これは大物。 上がって来たのは82.5センチのマダイでした。 アオイ釣具の女将さんはこれで2年連続80アップを手中にしてます。 運が良いのか・・・それとも腕が良いのか? ちなみにヒットジグはライズラバーのゴールドでした。 途中、根魚も狙い皆さん全員安打でめでたしでした。
(6月1日)
  
     
  


キャノンボーイが炸裂!!
本日はアシスト工房の和田さん率いるエイトグループの方がご乗船。 キャノンボールでガンガンと釣果を上げられました。 当然、根魚も短時間狙いましたが見事にヒット。 詳しくはアシスト工房ホームページのブログ『職人和田のジギング日記』を御覧下さい。 とにかくヒット続きで本日も全員安打。めでたしでした。
(5月31日)
 
やはりライズラバーに大型が来ました。
本日は変則2名様で出船。 当然、釣果のほうはバンバン上がり大型はライズラバーにヒットして来ました。 当然、お二方とも安打でめでたし。
(5月30日)
  
新しいポイントで根物!!
以前から狙っていた根魚ポイントをはずして新しいポイントをランガン。 良型のソイが一流しごとに釣れ続きました。 今のソイは煮付けにすると最高に美味しいですよ。 船長も食べさせてもらいました。うま〜〜〜!! あ、本日も全員安打でめでたしでした。
(5月27日)
  
ラスト30分?の男が・・・。
毎回、釣果を楽しませてくれるラスト30分男(安毛さん)が本日はジンクスを裏返し? 早い時間に見事な60アップをゲットしました。 根魚もちゃんとゲット。 本日は、新しいラスト30分男が誕生しました。 全員安打でめでたし〜〜!!
(5月26日)

厳しい中に地合い有り
結構厳しい釣りになりましたが釣果を出していただきました。 やはり、巻きスピードで釣果が変わってきているようです。 とにかく前当たりを掴むのが釣果に結びつきます。
(5月23日)

地合いの無い一日に。
あちらでポツリこちらでポツリの状況でした。 産卵も終盤かな? ショートバイトとバラシの連続でした。 石井様はひとつテンヤで釣果を出しておられました。 (5月21日)

受付の模様 各艇スタート前

保安部様と小安協様のセミナー 入賞者の皆様
鯛ラバカップin小豆島
佐々木プロの大会宣言で各艇スタート。 当日は東の風が強くどの船も思ったポイントに入れず苦しい戦いでした。 優勝者の方は見事に70サイズを上げておられました。 帰港後、高松海上保安部から救命胴衣のセミナーが行われました。 実際に落水した時の模様が再現され皆さん驚きの一瞬でした。 また、小型船安全協会からも安全に関するお話が有りました。 保安部様、小安協様ありがとう御座いました。
(5月20日)
 
 
出ました70ジャスト!!
本日は松永様グループがチャーターで鯛ラバにチャレンジ。 一日通してこれと言った地合いは無く終始厳しい釣りとなりました。 特筆は連日の70サイズをゲットしたことです。 ジャスト70センチでした。 磯では連日のように二桁釣果が出ております。 齋藤様(写真右下)は小型をリリース大型のみ写真に撮りました。 総数で24枚だったそうです。
(5月19日)
 

本日も72センチゲット!!
厳しい釣果でしたが70サイズが出ました。 神戸の佐久間様が念願の72センチでした。 一応、全委員安打でしたがちょっと釣果に不満が残りました。
(5月18日)

小安協の総会に出席しました。
STKが加入している小型船舶安全協会の総会に出席しまた。 有意義な総会でした。
(5月15日)
(午前便) (  (午後便)


本日は午後便も出船
午前便はちょっと渋いと言うかショーバイト、バラシの連続。 午後便は短時間(約2時間程度)でしたが結構バイトも有り釣果が稼げました。 今は、潮次第で釣果が上がっております。
(5月13日)



風が強かった・・・
本日は風が強かったので思ったポイントに入れず何とか拾い釣り。 60クラスも顔を見せ何とかおかずになりました。 やはり、今日もバラシ多数でした。
(5月11日)


バラシ多数
4名様乗り合いで鯛ラバ一本勝負。 巻きスピードでバラシは軽減? しかし、バイトも多数ですがなかなか針に乗らない。 神経質になっている季節でしょうか? 全員安打を達成です。

船長のおかず釣り。
実は知り合いから鯛を頼まれて急遽ポイントへ。 出来るだけ大きな鯛が欲しいとの事で頑張りました。 丁度大物が出る潮だったので72cmをゲットしました。
(5月9日)
 


大物が出始めました
何とか大物を釣っていただこうと各ポイントを探検。 ダブルヒット、トリプルヒットも有りました。 大物をゲットした西村様はビッグのみの釣果。 インチクでも釣果が出ています。 本日は全員安打達成。めでたし。
(5月8日)
 

地合いには当たり多数!!
本日は変則で乗り合い2名様で出船しました。 バイトは凄いのですがバラシが多数。 今日は大物がひしめき合いました。
(5月7日)


5歳で鯛ラバデビュー!?
何と5歳のまいと君が真鯛をゲット!! 他にも60サイズが上がる・・・・ しかし、大気が不安定なので突風の気配が出たので早々に沖上がり。 午前中だけでしたが釣果写真以外にも複数上がり納得の釣果でした。
(5月6日)






全員が真鯛ゲット!!
本日は天候もよく鯛ラバ日よりでした。 活性も良く皆様、真鯛を手中にしました。 残念な事にバラシが非常に多い事です。 釣果は写真の他に生簀、クーラーにもいます。 多分、軽く30枚は超えてたと思います。 (27枚まで数えました) また、忙しく取り込みをやっていました。 チヌ、真っ盛りといったところでしょうか。
(5月5日)
 釣り友のI様はライズラバーで会心の一撃。 これからもライズラバー(惠優丸オリジナル)をごひいきに。
Copyright(c) Keiyumaru. All rights reserved
|